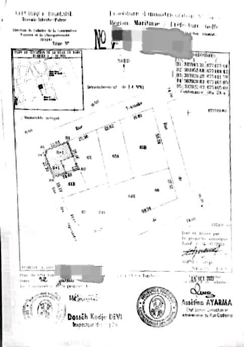
3 lots collés cloturés sur 3 voies avec ttitre foncier
Terrain 3 lots collés solidement c [...]
ANEHO-HABITATTerrain Stratégique de 1 lot cloturé avec titre foncier magnifiquement situé en plein coeur du Grand marché Assigamé en angle de rue et comportant plusierurs boutiques et un immeuble R+1 ...
Prix à débattre