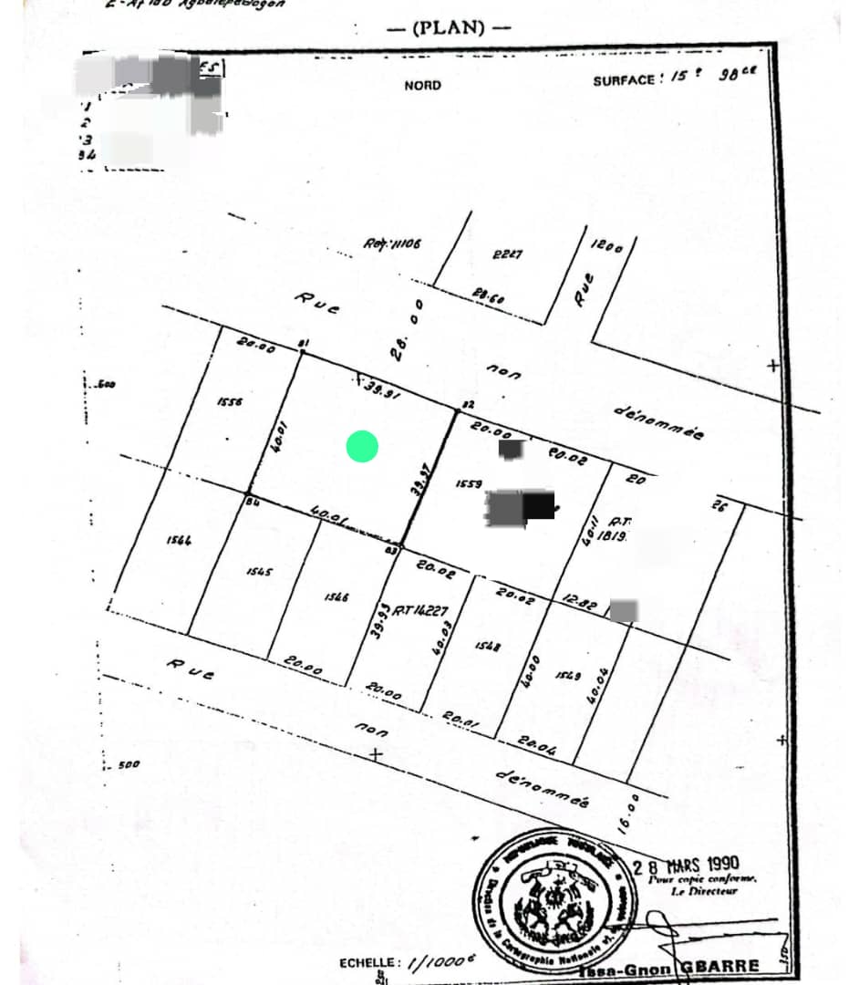
3 lots collés cloturés sur 3 voies avec ttitre foncier
Terrain 3 lots collés solidement c [...]
ANEHO-HABITATTerrain Stratégique de 1 lot et démi à déduire de 2 lots et démi avec titre foncier magnifiquement situé en bordure du goudron en plein centre d'agbalépédo non loin de la HAAC...
Prix à débattre